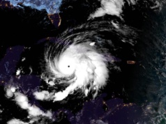
Potężny huragan Melissa dociera do Jamajki. Decyzją władz wszystkie główne lotniska zostały zamknięte. Żywioł oznacza ekstremalnie silny wiatr i ulewne opady deszczu. Jak informuje korespondent RMF FM w USA Paweł Żuchowski na miejscu jest też spora grupa Polaków.
Ilość odsłon: 49
źródło: https://www.rmf24.pl/fakty/swiat/news-huragan-melissa-dociera-do-jamajki-na-miejscu-sa-polacy-apel,nId,8035164
dodano: 2025-10-28 01:05:34
Inne znaleziska:
Huragan Melissa zbliża się do Jamajki. Są pierwsze ofiary
energetyka24.com
Huragan Melissa okazał się najsilniejszym tego typu zjawiskiem 2025 r. To huragan piątej, najwyższej kategorii, a według ekspertów prędkość wiatru może(https://www.bbc.com/news/live/cvgvexdjp1xt) nawet 282 km/h. Zbliża się do Jamajki, gdzie już teraz...
energetyka24.com, 2025-10-28 15:26:21
2025-10-28 15:26:21
Huragan Melissa spustoszył Black River. Mieszkańcy Jamajki: wszystko zniknęło
kobieta.onet.pl
Nadmorskie miasto Black River na Jamajce, niegdyś uznawane za tropikalny raj, zostało niemal doszczętnie zniszczone przez huragan Melissa. W wyniku żywiołu zginęły co najmniej dwie osoby, a setki mieszkańców straciły dach nad głową. "Mieszkaliśmy w d...
kobieta.onet.pl, 2025-10-31 12:10:21
2025-10-31 12:10:21
Żebrowscy wrócili z Jamajki, przez którą przeszedł HURAGAN. "Dziękujemy za każdą modlitwę"
jastrzabpost.pl
Michał Żebrowski wrócił z wakacji na Jamajce, którą niedawno spustoszył huragan Melissa. Żona aktora podziękowała internautom za wspieranie ich w chwilach niebezpieczeństwa. - Jesteśmy w domu. Tęskniliśmy! - napisała Aleksandra Żebrowska na Instagram...
jastrzabpost.pl, 2025-11-05 17:03:12
2025-11-05 17:03:12
Huragan na srebrze – kurs dociera do przełomowego punktu! Kluczowa reakcja przed nami?
comparic.pl
Srebro odbija z najniższych poziomów od września, osiągając okolice 47,50 dolarów za uncję, ale byki wciąż nie przejęły pełnej kontroli nad rynkiem. Kluczowe wsparcie znajduje się w strefie 46,0 – 46,2 dolarów, gdzie obserwujemy akumulację przy wysok...
comparic.pl, 2025-10-29 09:28:28
2025-10-29 09:28:28
Melissa zmierza prosto na Jamajkę jako huragan kategorii 4
misyjne.pl
Huragan Melissa gwałtownie w niedzielę przybrał na sile, osiągając kategorię 4 i generując maksymalną stałą prędkość wiatru do 230 km/h. Przesuwa się na północny zachód przez Morze Karaibskie, prosto na Jamajkę – poinformował amerykański National Hur...
misyjne.pl, 2025-10-27 09:07:10
2025-10-27 09:07:10
Huragan Melissa zagraża Jamajce. Padają kolejne rekordy
remiza.pl
Huragan Melissa, który zbliża się do Jamajki, utrzymuje kategorię 5 i generuje wiatry o niszczącej sile. Wyjątkowo wolny ruch układu zwiększa ryzyko długotrwałych, katastrofalnych zjawisk pogodowych. Służby ostrzegają przed potężnymi ulewami mogącymi...
remiza.pl, 2025-10-28 08:17:20
2025-10-28 08:17:20
Monstrualny huragan Melissa pustoszy Karaiby. „Żadna infrastruktura tego nie wytrzyma”
smoglab.pl
Na Jamajkę lada chwila dotrze monstrualny huragan z wiatrem przekraczającym 280 km/h. Według meteorologów Melissa to obecnie najsilniejszy cyklon tropikalny na naszej planecie w tym roku i piąty najsilniejszy w historii Atlantyku. Żywioł nie tylko je...
smoglab.pl, 2025-10-28 18:56:24
2025-10-28 18:56:24
Tak Polacy przygotowali się na huragan Melissa na Jamajce. "Burza stulecia"
gazeta.pl
Polacy zabarykadowali się przed huraganem Melissa na Jamajce. Sposób, w jaki to zrobili, został uchwycony na zdjęciach.
gazeta.pl, 2025-10-28 21:54:08
2025-10-28 21:54:08
"Huragan stulecia". Melissa uderzyła w Jamajkę, dramatyczne relacje Polaków
rmf24.pl
Melissa uderzyła w Jamajkę. Wśród Polaków uwięzionych na wyspie Michał Żebrowski z rodziną
rmf24.pl, 2025-10-28 21:55:10
2025-10-28 21:55:10
Huragan Melissa uderza w Jamajkę. Wiatr o prędkości 300 km/h niszczy wszystko na swojej drodze
obserwatorgospodarczy.pl
Huragan Melissa przeszedł nad Jamajką jako jedna z najsilniejszych burz w historii Atlantyku, powodując falę zalewów, osuwisk i rozległych uszkodzeń infrastruktury. W ciągu kilku godzin wiatr i woda wyrządziły szkody w budynkach mieszkalnych i użytec...
obserwatorgospodarczy.pl, 2025-10-29 01:00:29
2025-10-29 01:00:29