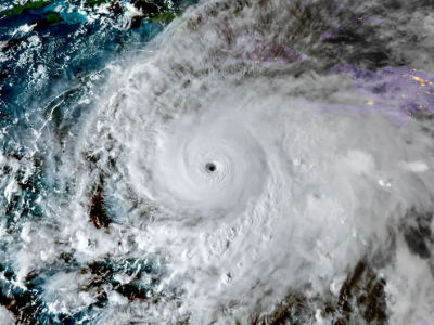
Huragan Melissa, choć nie był najsilniejszym cyklonem, jaki powstał na Oceanie Atlantyckim, był najsilniejszym, jaki uderzył w Jamajkę. Naukowcy jasno mówią, że ten żywioł został znacznie wzmocniony przez ocieplający się klimat. Według wyliczeń taki huragan, który 28 października uderzył w tę niewie...
źródło: https://smoglab.pl/na-jamajce-licza-straty-po-melissie-klimatolog-z-ostrzezeniem/
dodano: 2025-11-03 21:25:21
Inne znaleziska:
Liczą, liczą i… doliczyć się nie mogą. Kiedy poznamy dane na temat „edukacji zdrowotnej”?
pch24.pl
Okazuje się, że na wklepanie kilku cyferek do komputera oraz dokonanie obliczeń w Excelu potrzeba… prawie miesiąca. Tak przynajmniej próbuje nam wmówić MEN. 25 września zakończył się czas na wypisanie się z zajęć tzw. „edukacji zdrowotnej”, a ministe...
pch24.pl, 2025-10-17 10:06:09
2025-10-17 10:06:09
Żniwa na Żuławach: rolnicy liczą straty w milionach złotych. Jak sobie radzą? [FILM]
topagrar.pl
Coraz więcej rolników z zachodniej, południowej i centralnej Polski potwierdza, że żniwa w ich gospodarstwach dobiegły końca. Na taki luksus nie mogą jednak liczyć gospodarze z północnej części naszego kraju, gdzie na przełomie lipca i sierpnia doszł...
topagrar.pl, 2025-08-19 15:19:03
2025-08-19 15:19:03
Nowa plaga na rynku pracy. Pracownicy rozbici, firmy liczą straty
spidersweb.pl
Nowa plaga na rynku pracy. Pracownicy rozbici, firmy liczą straty
spidersweb.pl, 2025-09-21 11:29:17
2025-09-21 11:29:17
JLR po cyberataku: pauza w produkcji jeszcze co najmniej do 24 września. Producent i dostawcy liczą straty
magazynauto.pl
Cyberataki to coraz powszechniejszy problem. Jeden z nich na początku września dotknął także koncern JLR (Jaguar Land Rover) i doprowadził do wstrzymania produkcji w jego fabrykach. Linie wciąż stoją, ale JLR ostrożnie deklaruje stopniowy ponowny roz...
magazynauto.pl, 2025-09-21 14:20:24
2025-09-21 14:20:24
Chlewnie i kurniki stoją puste, a hodowcy liczą straty. Jest apel do ministra
farmer.pl
Krajowa Rada Izb Rolniczych zwróciła się do ministra rolnictwa o wprowadzenie maksymalnych terminów wydawania decyzji dotyczących ponownego zasiedlenia budynków inwentarskich po likwidacji ognisk ASF, grypy ptaków czy rzekomego pomoru drobiu.
farmer.pl, 2025-09-25 12:47:10
2025-09-25 12:47:10
„New York Times” ostro o rynku krypto. Rodzina Trumpa i Bitcoin pod lupą, inwestorzy liczą gigantyczne straty
bithub.pl
Gwałtowny wzrost zainteresowania kryptowalutami w 2025 roku przyniósł falę optymizmu, która szybko zderzyła się z...
bithub.pl, 2025-12-17 12:20:10
2025-12-17 12:20:10
To miało chronić dom na lata. Teraz właściciele liczą straty sięgające 100 tys. zł
kb.pl
Miało być ciepło, tanio w utrzymaniu i „na całe życie”. W praktyce coraz więcej właścicieli domów jednorodzinnych po 3–5 latach od wykonania ocieplenia patrzy na pękające tynki, wybrzuszone elewacje i ciemne zacieki pod oknami. Zdjęcia z takich budyn...
kb.pl, 2026-02-06 16:17:06
2026-02-06 16:17:06
Bella Ciao na rynkach! "Professor" realizuje swój plan, podczas gdy krypto-zakładnicy liczą straty
bankier.pl
„Zaczynamy największy skok w historii” – te słowa nawiązujące do serialu „Dom z Papieru” mogłyby towarzyszyć profesorowi Krzysztofowi Borowskiemu, gdy wchodził w 2026 rok. Podczas gdy luty okazał się dla większości rynkowych graczy trudny niczym oblę...
bankier.pl, 2026-03-03 06:12:06
2026-03-03 06:12:06
Ukraińcy pomstują na unijne kontyngenty taryfowe i liczą straty wynikające z ograniczenia eksportu towarów rolnych
cenyrolnicze.pl
Spadek dostaw ukraińskich produktów rolnych do Unii Europejskiej po wprowadzeniu kontyngentów taryfowych (TRQ) wyniesie 1,43 mld dolarów rocznie. Według badania przeprowadzonego przez Instytut Badań Ekonomicznych i Doradztwa Politycznego, całkowity e...
cenyrolnicze.pl, 2026-03-04 15:21:08
2026-03-04 15:21:08
USA liczą straty po ataku na Iran. Ujawniono dane
dorzeczy.pl
Od początku wojny z Iranem rannych zostało 140 amerykańskich żołnierzy – podał oficjalnie Pentagon. Obrażenia większości z nich miały być na tyle lekkie, że mogli oni wrócić już do służby. Według mediów, liczba rannych może być jednak wyższa.
dorzeczy.pl, 2026-03-11 06:44:11
2026-03-11 06:44:11