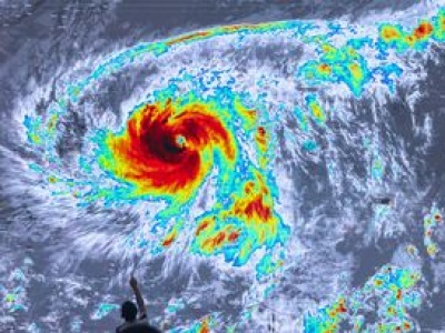
Na Filipinach wciąż trwa sprzątanie po niszczycielskim tajfunie Kalamegi, który przeszedł przez ten kraj w ostatnich dniach. Tymczasem do kraju zbliża się kolejny żywioł - supertajfun Fung-wong. Władze Filipin ewakuowały już ponad 100 000 mieszkańców ze wschodnich i północnych regionów kraju.
źródło: https://wiadomosci.wp.pl/fung-wong-zbliza-sie-do-filipin-juz-ewakuowano-100-tys-mieszkancow-7219838567316416a
dodano: 2025-11-09 05:19:48
Inne znaleziska:
Działo się w nocy. Fung-wong zbliża się do Filipin. Jest już supertajfunem
wiadomosci.wp.pl
Działo się w nocy. Oto co odnotowały światowe agencje w nocy z soboty na niedzielę.
wiadomosci.wp.pl, 2025-11-09 07:33:44
2025-11-09 07:33:44
Śmigłowce Black Hawk z PZL Mielec trafią do Filipin. Wcześniej zrezygnowało z nich Wojsko Polskie
rzeszow-news.pl
Rzeszów News PZL Mielec kontynuuje dostawy śmigłowców Black Hawk dla Filipińskich Sił Powietrznych. Informacja pojawiła się dwa miesiące po unieważnieniu przetargu na nabycie 32 takich maszyn przez Wojsko Polskie. Maszyny w wersji bojowo-zadaniowej m...
rzeszow-news.pl, 2025-08-18 18:14:09
2025-08-18 18:14:09
PZL Mielec dostarcza kolejne Black Hawki dla Filipin
rynek-lotniczy.pl
PZL Mielec kontynuuje w tym roku dostawy kolejnych śmigłowców S-70i Black Hawk dla Departamentu Obrony Narodowej Filipin, w ramach prowadzonego przez niego projektu nabycia dodatkowych śmigłowców użytkowych. W tym miesiącu pięć kolejnych S-70i weszło...
rynek-lotniczy.pl, 2025-08-24 06:27:04
2025-08-24 06:27:04
Było 2:12. Niewiarygodne, co zrobili kibice z Filipin podczas meczu MŚ
sport.pl
Siatkarze reprezentacji Filipin mogli przegrywać i 10 punktami, a ich szalonym kibicom nie robiło to żadnej różnicy - po każdej pojedynczej akcji wygranej przez ich ulubieńców reagowali tak, jakby ci właśnie odnieśli wielki sukces. Mecz otwarcia mist...
sport.pl, 2025-09-12 15:48:14
2025-09-12 15:48:14
Najnowsze wieści z Filipin. Tomasz Fornal oszczędzany w trakcie treningu
polsatsport.pl
Reprezentacja Polski już w sobotę zmierzy się z Kanadą w spotkaniu 1/8 mistrzostw świata na Filipinach. W Manili obecni są Wojciech Drzyzga i Marcin Lepa z Polsatu Sport, którzy relacjonują siatkarską imprezę od kuchni. W przeddzień meczu, w niecodzi...
polsatsport.pl, 2025-09-19 14:56:35
2025-09-19 14:56:35
Autonomiczne robotaxi Waymo? Często sterują nimi ludzie z Filipin
portaltechnologiczny.pl
Przez lata firmy technologiczne budowały narrację, że autonomiczne pojazdy i systemy AI są niemal całkowicie samodzielne. Najnowsze wyznanie Waymo — lidera rynku robotaxi należącego do Alphabet — pokazuje jednak zupełnie… Artykuł Autonomiczne robota...
portaltechnologiczny.pl, 2026-02-08 14:23:12
2026-02-08 14:23:12
Gołębiewski szuka załogi do największego hotelu w Polsce. W rekrutacji także pracownicy z Filipin
propertynews.pl
Największy hotel w Polsce przygotowuje się do otwarcia i intensywnie buduje zespół. Wśród ofert pracy pojawiły się ogłoszenia kierowane do Filipińczyków, co wywołało szeroką dyskusję o sytuacji kadrowej w branży hotelarskiej.
propertynews.pl, 2026-04-12 10:43:14
2026-04-12 10:43:14
Epoka Zachodu zbliża się do końca? "Przesuniemy się w stronę Wschodu"
newsweek.pl
Przez ostatnie dwa, trzy stulecia Zachód zdominował technikę, technologię, kulturę, muzykę, styl ubierania się i jedzenia, życie polityczne. Wszystko to miało swój początek na Zachodzie. Jest coraz bardziej ewidentne, że ta epoka zbliża się do końca...
newsweek.pl, 2025-08-19 07:44:08
2025-08-19 07:44:08
Jesień zbliża się wielkimi krokami, a wraz z nią sezon grypowy. Czy warto się zaszczepić?
rzeszow-news.pl
Rzeszów News Koniec wakacji już za rogiem, jednak wkrótce rozpocznie się czas zachorowań na grypę. Jak się zaszczepić, jaką szczepionkę wybrać i jak się chronić? Co ważne, niektórzy mogą zaszczepić się za darmo, w zależności od wybranej szczepionki....
rzeszow-news.pl, 2025-08-23 16:03:06
2025-08-23 16:03:06
Zbliża się pierwszy gwizdek nowego sezonu. Koszykarze z Resovii chcą się zaprezentować miastu
rzeszow-news.pl
Rzeszów News Już w tę sobotę, pierwszy raz w historii, wszyscy sympatycy koszykówki będą mogli poznać koszykarską drużynę Resovii na sezon 2025/26. Klub ze stolicy Podkarpacia organizuje oficjalną prezentację zawodników i koszulek meczowych. Dodatkow...
rzeszow-news.pl, 2025-09-03 14:59:04
2025-09-03 14:59:04